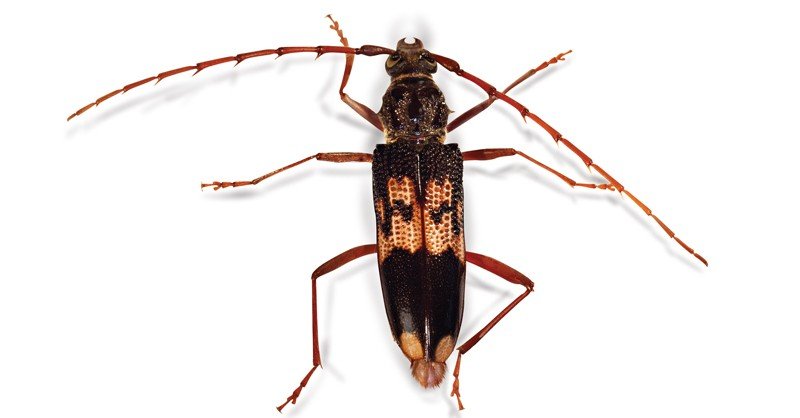
Common name : Eucalyptus longhorned borer
Scientific name : Phoracantha semipunctata
Family : Cerambycidae
Native to : Australia
Interesting fact : This beetle has become a huge pest to the eucalyptus trees in California, after it was introduced into Southern California in the 80’s.
Eucalyptus trees which are suffering from drought, have been freshly cut. These are the main source of food for this bug which is around 13 to 29 mm in length, and it lives within the trees, in the infested wood and after mating a female usually lays 3 to 30 eggs in crevices or loose barks of the eucalyptus tree. The larvae, once they hatch, feed for a while on the surface, and then bore into the tree in the cambium.

